Carolina Gómez Aguiñaga
cgomez@prensaglobal.com
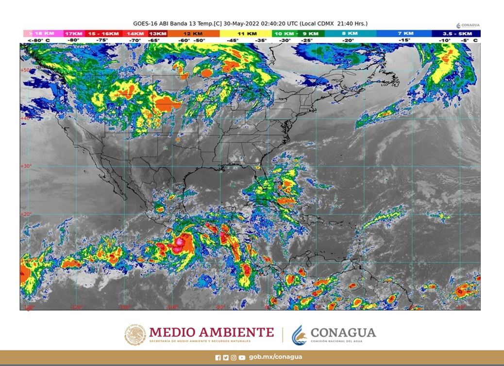
El Servicio Meteorológico Nacional informó que el huracán “Agatha” categoría 2, impactará en las costas de Oaxaca Durante las próximas 11 horas.
El centro del Huracán “Agatha” de categoria 2 en la escala Saffir-Simpson continúa acercándose a las costas de Oaxaca. Se encuentra a 90 kilómetros al sur-suroeste de Puerto Escondido, Oaxaca y a 100 km al sur-sureste de Laguna de Chacahua, Oaxaca.
En coordinación con el Centro Nacional de Huracanes de Miami, Florida, el SMN señaló que se mantiene zona de prevención por efectos de huracán desde Salina Cruz, hasta Lagunas de Chacahua, Oaxaca.
Si trayectoria es Hacia el noreste (55°) a 9 km/h con vientos sostenidos: 175 km/h rachas: 215 km/h.
Se pronostican lluvias torrenciales a puntuales extraordinarias en Oaxaca, lluvias puntuales intensas en Chiapas, Tabasco, Guerrero y Veracruz, y lluvias fuertes a muy fuertes en Campeche, Yucatán y Quintana Roo.
Las lluvias podrían generar incremento en los niveles de ríos y arroyos, deslaves e inundaciones en zonas bajas de los estados mencionados. A su vez se prevén rachas de viento de 120 a 150 km/h y oleaje de 6 a 8 metros de altura en las costas de Oaxaca, y rachas de 80 a 100 km/h y oleaje de 4 a 6 metros de altura en costas de Guerrero y Chiapas.
Extremar precauciones a la población en general en las zonas de los estados mencionados por lluvias, viento y oleaje (incluyendo la navegación marítima) y atender las recomendaciones emitidas por las autoridades del Sistema Nacional de Protección Civil, en cada entidad.
Prensaglobal.com | Noticias de Puerto Vallarta Prensaglobal.com | Noticias de Puerto Vallarta y Bahía de Banderas, México. El portal de noticias que te mantiene informado sobre lo que acontece en Puerto Vallarta, Bahía de Banderas y el Estado de Jalisco, México.

