Leticia Arana
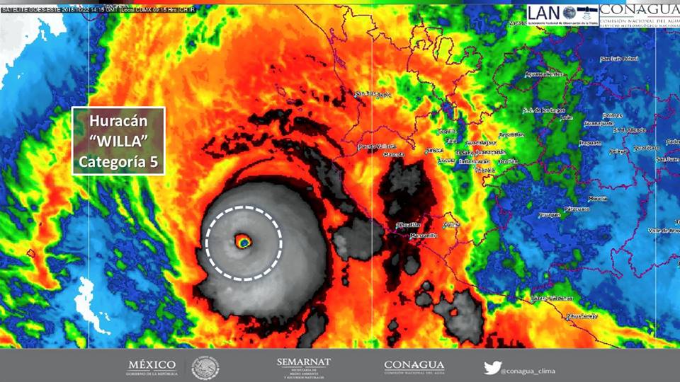
De acuerdo con el último reporte de la Unidad Estatal de Protección Civil, el Huracán “Willa” elevó su peligrosidad, al avanzar en categoría 5 de la Escala Saffir Simpson, hacia las costas norte y sur de Jalisco y Nayarit, toda vez que se localiza a 215 kilómetros al Suroeste de Cabo Corrientes , y 280 kilómetros al Sur Suroeste de las Islas Marías , con vientos de 260 kilómetros por hora, y rachas de 315, además del desplazamiento al Norte.
La corporación asegura que existe amplio despliegue y patrullaje de oficiales realizando recorridos alertando a la población, con las siguientes recomendaciones:
-Proteger su casa, cubrir puertas y ventanas con madera para evitar rompimiento de cristales , considerando que estos se convierten en proyectiles mortales.
-No exponer a las familias, por tal razón es indispensable evacuar si el domicilio se ubica en zona de alta vulnerabilidad; dirigirse con amigos o a los refugios temporales instalados por autoridades locales. Atender recomendaciones oficiales.
-Mantenerse informado del estado del tiempo en medios institucionales, como el Instituto de Astronomía y Meteorología de la UdeG, Comisión Nacional del Agua o Redes Sociales gubernamentales.
-En sitios rurales y costeros, abstenerse de cruzar ríos o arroyos en vehículo, caballo o a pie, esperar a que bajen los niveles de agua, pues la seguridad personal es lo primero. Las corrientes de caudales, traen objetos que pueden causar lesiones o derribos.
-Realizar Plan Familiar de Protección Civil, practicando como evacuar sus viviendas.
-En caso de inundación, trasladarse de inmediato a zonas más altas, para ponerse a salvo.
-Ante la emergencia, comunicarse al 911 o al 36 75 30 60 de Guadalajara, 01 315 355 63 75 de Puerto Melaque y 01 322 22507 64 en Puerto Vallarta, números, de la Unidad Estatal de Protección Civil.
Prensaglobal.com | Noticias de Puerto Vallarta Prensaglobal.com | Noticias de Puerto Vallarta y Bahía de Banderas, México. El portal de noticias que te mantiene informado sobre lo que acontece en Puerto Vallarta, Bahía de Banderas y el Estado de Jalisco, México.

